4428 Goodrich DriveBelton, TX 76513




Mortgage Calculator
Monthly Payment (Est.)
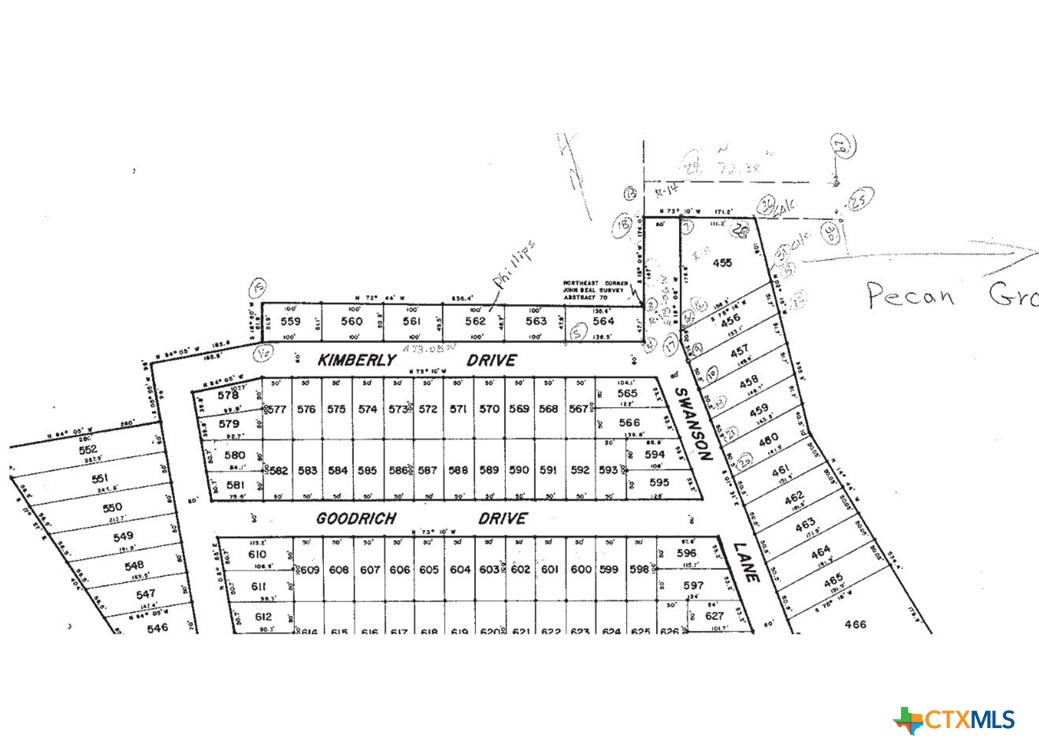
$136Unlimited potential with minimum restriction out of the city limits. Discover a rare double-lot opportunity in the heart of Belton, Texas—perfect for your next custom home, weekend getaway, or long-term investment. Located at 4428 Goodridge Drive (Lots 587 & 588) Belton, Texas 76513, this combined property offers approximately 0.229 acres of potential, with utilities already available and water service confirmed through Dog Ridge Water. Priced at just $29,900 total for both lots, this is an affordable chance to secure land in a fast-growing corridor known for its quiet surroundings and convenient access. The lots provide flexibility for design, ample space between neighbors, and straightforward buildability—ideal for anyone looking to create their own piece of Texas. Photos, county plat, and property restrictions are available upon request. With over three dozen inquiries already, interest is high—so if you’re ready to walk the property or make it yours, reach out today. 4428 Goodrich Dr sits outside Belton city limits and within Belton’s ETJ (extraterritorial jurisdiction). Dog Ridge Water confirmed available!
| 2 weeks ago | Status changed to Active | |
| 2 weeks ago | Listing updated with changes from the MLS® | |
| 2 weeks ago | Listing first seen on site |
Listing information is provided by Participants of the Central Texas MLS. IDX information is provided exclusively for personal, non-commercial use, and may not be used for any purpose other than to identify prospective properties consumers may be interested in purchasing. Information is deemed reliable but not guaranteed. Copyright 2025, Central Texas MLS.
Last checked: 2025-11-04 09:43 PM UTC
Did you know? You can invite friends and family to your search. They can join your search, rate and discuss listings with you.