Save
Ask
Tour
Hide
$450,000
43 Days On Site
129 County Road 404Bartlett, TX 76511
For Sale|Single Family Residence|Active
1
Bed
1
Total Bath
1
Full Bath
1,144
SqFt
$393
/SqFt
2012
Built
Subdivision:
Davilla
County:
Milam




Save
Ask
Tour
Hide
Mortgage Calculator
Monthly Payment (Est.)
$2,053Calculator powered by Showcase IDX, a Constellation1 Company. Copyright ©2025 Information is deemed reliable but not guaranteed.
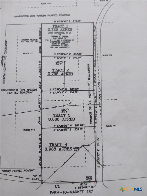
129 County Road 404, Bartlett, TX 765113 3 - 3.88 acres of cleared and improved land with cedar fencing, located just outside of Bartlett. The property features a covered, remodeled RV with an outdoor kitchen, minibar, and hot tub. Land has been filled, leveled, and fully fenced for immediate use. Currently platted into four lots: three approximately 0.87 acres each, and one at 1.25 acre located near the intersection. This offers multiple options for resale, investment, or building. There is also the possibility of acquiring an additional 2 acres within the next year. This property is ideal for those looking for a private homesite, weekend retreat, or an investment opportunity with the flexibility to sell or build on individual lots.
Save
Ask
Tour
Hide
Listing Snapshot
Price
$450,000
Days On Site
43 Days
Bedrooms
1
Inside Area (SqFt)
1,144 sqft
Total Baths
1
Full Baths
1
Partial Baths
N/A
Lot Size
3.388 Acres
Year Built
2012
MLS® Number
590710
Status
Active
Property Tax
$2,128
HOA/Condo/Coop Fees
N/A
Sq Ft Source
Appraiser
Friends & Family
Recent Activity
| a month ago | Listing first seen on site | |
| a month ago | Listing updated with changes from the MLS® |
General Features
Acres
3.388
Carport
1
Foundation
OtherSee Remarks
Property Sub Type
Single Family Residence
Utilities
Electricity Available
Water Source
Public
Interior Features
Appliances
Other
Cooling
Other
Fireplace Features
OtherSee Remarks
Heating
OtherSee Remarks
Interior
OtherSee Remarks
Laundry Features
None
Spa
Yes
Other
Save
Ask
Tour
Hide
Exterior Features
Construction Details
OtherSee Remarks
Fencing
FullWood
Road Frontage
County Road
Roof
OtherSee Remarks
Spa
Yes
Spa Features
Above GroundSee Remarks
View
None
Waterfront Features
None
Waterview
None
Community Features
Community Features
None
Financing Terms Available
CashConventionalFHAOwner May Carry
Horse Allowed
Yes
School District
Bartlett ISD
Schools
School District
Bartlett ISD
Elementary School
Unknown
Middle School
Unknown
High School
Unknown
Listing courtesy of Karen Muniz of Sovy Realty Group
Listing information is provided by Participants of the Central Texas MLS. IDX information is provided exclusively for personal, non-commercial use, and may not be used for any purpose other than to identify prospective properties consumers may be interested in purchasing. Information is deemed reliable but not guaranteed. Copyright 2025, Central Texas MLS.
Last checked: 2025-11-07 12:11 AM UTC
Listing information is provided by Participants of the Central Texas MLS. IDX information is provided exclusively for personal, non-commercial use, and may not be used for any purpose other than to identify prospective properties consumers may be interested in purchasing. Information is deemed reliable but not guaranteed. Copyright 2025, Central Texas MLS.
Last checked: 2025-11-07 12:11 AM UTC
Neighborhood & Commute
Source: Walkscore
Disclosure: Community information and market data powered by Constellation Data Labs. Information is deemed reliable but not guaranteed.
Save
Ask
Tour
Hide
Did you know? You can invite friends and family to your search. They can join your search, rate and discuss listings with you.